Trump Supreme Court pick denies 1980s sexual assault story
President Donald Trump's conservative pick for the Supreme Court Brett Kavanaugh denied Friday involvement in an alleged sexual assault on a woman while they...
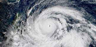
Super Typhoon Mangkhut smashes into Philippines
Super Typhoon Mangkhut slammed into the northern Philippines on Saturday with violent winds and torrential rains, as authorities warned millions in its path of...
Optimism trumps despair at climate summit
Mayors, governors, entrepreneurs, CEOs, investors and celebrities delivered a double-edged message Friday at the close of a climate summit in San Francisco: global warming...
SpaceX announces new plan to send tourist around Moon
SpaceX on Thursday announced a new plan to launch a tourist around the Moon using its Big Falcon Rocket (BFR), a massive launch vehicle...
Trump says US under ‘no pressure’ for China trade deal
The US President Donald Trump said Washington is under "no pressure" to achieve a trade deal with China as the prospect of new tariffs...
Belugas adopt toothy whale lost in Canadian waters
A lonely narwhal that strayed far from its Arctic habitat has apparently found a new family in a pod of belugas in Canada's Saint...
Two Koreas open joint liaison office in North
North and South Korea opened a joint liaison office in the Northern city of Kaesong on Friday as they knit closer ties ahead of...
Urgent preparations as super typhoon closes in on Philippines
Preparations were in high gear in the Philippines on Friday with Super Typhoon Mangkhut set to make a direct hit in less than 24...
‘Once in a lifetime’ hurricane weakens, begins lashing eastern US
The US east coast girded for a battering from Hurricane Florence late Thursday as the monster storm's outer edge began lashing the Carolinas with...
Typhoon Mangkhut: Millions in Philippines braced for storm
Thousands of people have begun evacuating coastal areas of the Philippines as a super typhoon heads towards the country.
Typhoon Mangkhut, packing winds of 255km/h...

















